Sussex County P&Z approves 21-lot subdivision near Milton
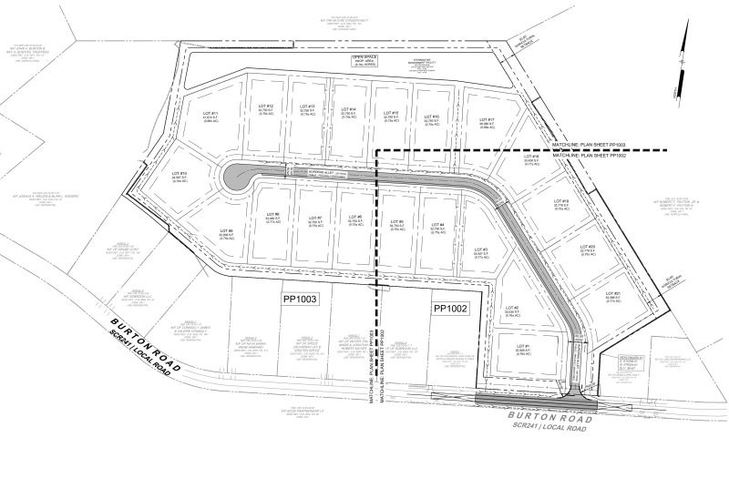
A plan to build 21 single-family homes on a 24-acre site off Burton Road near Milton was approved Nov. 4 by the Sussex County Planning & Zoning Commission.
The commission voted 4-0 to approve the Tepache Farms subdivision. Commission Chair Holly Wingate was absent.
The standard subdivision was a simpler project to approve than a larger cluster subdivision project proposed on the site, which was rejected by the county in 2019.
“There has been some, I would say, angst about this one because it’s a standard subdivision,” said Vince Robertson, a county attorney, offering clarification for commissioners and the public before the vote.
The commission has little latitude to reject a standard subdivision proposal that complies with county rules or set conditions on approval, Robertson said.
If people own land zoned for a particular use, they can rely on being able to implement that use as long as it complies with criteria found in ordinances and it meets reasonable conditions set, he said. Reasonable conditions could even be limited, Robertson said, although that is being reviewed by the Delaware Supreme Court.
“If it meets the criteria and standards, particularly with a standard subdivision, then there’s not a lot of discretion, it’s a permitted use,” Robertson said.
Few standard subdivisions are built in Sussex County, as the majority are cluster subdivisions over which the county may have a hand in influencing design, he said.
“Cluster subdivisions have additional criteria,” he said, “For example, they have that superior design element to it. You have to show how it was designed, taking into account certain things with regards to the land and the design as a result.”
The county has more influence in projects that require a change in zone, conditional uses or are located in a GR-RPC, general residential district. Those projects change what is permitted on the land, and the county has more discretion to approve or deny projects or set conditions of approval.
Some people question why a public hearing is held for standard subdivisions if there is no discretion, Robertson said. But the commission can impose conditions and safeguards on a plan, he said.
The commission cannot reject a standard subdivision because residents do not want a project that is permitted by regulations.
Several neighbors objected to the proposed Tepache Farms project at an Oct. 1 public hearing held by the commission. They cited concerns about stormwater on the site, private water and sewer, and the condition of Burton Road.
Members of the Burton family, for which the road is named, were upset that they had seen advertisements listing the development with a name that contained their family name. They did not want their name associated with the development.
Kevin Conlon came to the Cape Gazette with nearly 40 years of newspaper experience since graduating from St. Bonaventure University in New York with a bachelor's degree in mass communication. He reports on Sussex County government and other assignments as needed.
His career spans working as a reporter and editor at daily newspapers in upstate New York, including The Daily Gazette in Schenectady. He comes to the Cape Gazette from the Cortland Standard, where he was an editor for more than 25 years, and in recent years also contributed as a columnist and opinion page writer. He and his staff won regional and state writing awards.
Conlon was relocating to Lewes when he came across an advertisement for a reporter job at the Cape Gazette, and the decision to pursue it paid off. His new position gives him an opportunity to stay in a career that he loves, covering local news for an independently owned newspaper.
Conlon is the father of seven children and grandfather to two young boys. In his spare time, he trains for and competes in triathlons and other races. Now settling into the Cape Region, he is searching out hilly trails and roads with wide shoulders. He is a fan of St. Bonaventure sports, especially rugby and basketball, as well as following the Mets, Steelers and Celtics.





















































